Текст книги "Девять веков юга Москвы. Между Филями и Братеевом"
Автор книги: Светлана Ярославцева
Жанр:
История
сообщить о нарушении
Текущая страница: 24 (всего у книги 44 страниц) [доступный отрывок для чтения: 16 страниц]
Крестьянские общественные владения
После крестьянской реформы 1861 г. в российских селениях появилось два типа владельцев. Прежние господа владели недвижимым имением, называемым теперь также занадельной землей, т. е. оставшейся после выделения наделов крестьянам. А остальная часть имения была отдана крестьянам. Но не бесплатно. Они должны были выкупить наделы у владельцев, а до тех пор считались временнообязанными своих господ, но в то же время владельцами земель, отведенных им по Уставной грамоте в общественную собственность.
Крестьяне Зюзинского сельского общества (села Борисоглебского и деревни Изютиной) в числе 195 ревизских душ уже в 1863 г., при господах Балашовых, получили надельную землю. Все крестьянские наделы располагались единым клином в южной половине имения, смежной с сельцом Марковом, входившим тогда в лесистую пустошь Емельяновскую. Это были земли 2-й категории: 296,5 десятины с доходом 2742 руб. 80 коп. – в них усадебной земли 113 десятин 1440 сажен, пашен и лесных дач 132 десятины 2160 сажен, пастбищ 50 десятин[647]647
ЦИАМ, ф. 184, оп. 9, д. 46, л. 306. Поземельная книга Московского
уезда.
[Закрыть].
Однако с выплатой крестьянами недоимок за полученную землю дело затянулось. Ни каждый в отдельности, ни все сельское общество не в состоянии были выплатить огромную сумму. И через десять лет российское правительство даровало крестьянам в ссуду 16 383 руб. 33 коп. для передачи владельцам и выкупа земли. После нотариального оформления этого акта зюзинским крестьянам в 1872 г. была выписана Данная грамота на земли, «приобретенные ими посредством выкупа от бывших владельцев титулярных советников Николая и Ивана Петровичей, вдовы коллежского асессора Александры Васильевны и детей ее Петра, Александра Александровичей Балашовых в свою общественную собственность»[648]648
ЦИАМ, ф. 210, оп. 13, д. 193, л. 21.
[Закрыть]. А 17 июля 1874 г. мировой судья Н. Рихтер в законном порядке ввел означенных крестьян «во владение выкупленною ими землею». Нотариальную выпись тогда же получил уполномоченный сельский староста Василий Яковлев Панов.
При подворной переписи селений Московского уезда, которая проводилась в 1869–1871 гг., отмечалось, что на 120 десятинах пахотной земли Зюзинского сельского общества засевали на каждую десятину: рожью – 2 четверти (всего 120 четвертей), овса – 4 четверти (240 четвертей). Грамотных в селе было 15 мужчин и 5 женщин[649]649
ЦИАМ, ф. 184, оп. 10, д. 2224, л. 30.
[Закрыть].
В то время, а также в последующие годы (в частности, в 1872 и 1873 гг.) в селе Зюзине имелись 1 трактир и 1 лавка. Их держали в своих домах зюзинские крестьяне: Федор Иванов [Журин] – трактир, а Иван Яковлев [Корнев] – овощную лавку[650]650
ЦИАМ, ф. 11, оп. 6, д. 201, лл. 114, 115, 248; д. 370, лл. 118, 119.
[Закрыть]. Фамилии пишу в скобках, так как в документах они не указаны, названы только имена и полуотчества (на -ов). Отчества в нынешнем понимании (на -ич) для крестьян тогда не использовались. А по Подворной переписи 1869–1871 гг. к этим именам и полуотчествам нашлись только эти фамилии.
По земской окладной книге 1873 г. сельскому обществу села Зюзина и деревни Волхонки, состоящему из 196 ревизских душ в 71 дворах, принадлежали земли в следующем составе: усадебной – 113,6 дес., пахотной – 132, 9 дес., покосов – 50,0 дес.[651]651
Земская окладная книга Московского уезда. М., 1873.
[Закрыть] Земли Зюзинского сельского общества были небогатые. На 1879 г. их общий доход составил 2742 руб. 80 коп. на 296,5 десятины. И все же это самая доходная земля – 9,25 руб. на каждую десятину – среди других сельских обществ с землями 2-й категории. А к этой категории относились с. Воронцово (6,73 руб.), д. Котлякова (3,29 руб.), д. Беляева (6,29 руб.), д. Деревлева (6,73 руб.), д. Чертанова (8,09 руб.), с. Коньково-Сергиевское (6,53 руб.), д. Брехова (8,09 руб.). Для сравнения добавлю, что к 3-й категории относились Бирюлево, Большое и Малое Голубино, Нижние и Верхние Теплые Станы, Красное, Уское, Покровское с Выселком и Ясенево. Здесь только в Ясеневе средний доход на десятину составлял 5,25 руб., а в остальных селениях – 3–4 руб. Самые малодоходные земли – 4-й категории – в д. Румянцевой (2,42 руб.), Аннине, Качалове и Битцах (средняя сумма на все Битцевское сельское общество – 2,74 руб.)[652]652
ЦИАМ, ф. 11, оп. 6, д. 376, л. 2.
[Закрыть].
Зюзинским крестьянам не хватало своих общественных земель. И они стали брать их в аренду у других владельцев, в своем и в соседних селениях. Крестьяне теперь сами совершали различные земельные сделки. Многие сведения о селениях волости сохранились в книге сделок и договоров Зюзинского волостного правления, в списках владельцев и арендаторов волости, в других документах.
Так, в селе Зюзине 13 апреля 1864 г. крестьяне арендовали 22 десятины церковной земли, которая располагалась на занадельных землях Балашовых, на 10 лет за 264 руб. в год. Крестьянин Алексей Заварзин в январе 1865 г. арендовал на 4 года землю под строение у Ефима Булгакова за 6 руб. в год. Мещанин Иван Евдокимов арендовал у крестьянина Степана Льянова 35 кв. сажен под строение на 5 лет за 5 руб. в год. А мещанин Федор Косолапов арендовал в 1873 г. на 1 год землю для колки камня, которую крестьяне, в свою очередь, арендовали у господина Балашова, при этом крестьянам Ивану, Константину и Михаилу Ивановым, с которыми Косолапов заключил договор 6 ноября, он платил 100 руб. за год, а крестьянскому обществу, по договору, заключенному 10 дней спустя, – 50 руб. в год[653]653
ЦИАМ, ф. 11, оп. 5, д. 197.
[Закрыть].
40 домохозяев арендовали под пахоту у господ Балашовых 20 десятин на 10 лет по 10 руб. в год и у священника 20 десятин по 15 руб. в год. У Балашовых же арендовали под выгон на 10 лет 10 десятин за 75 руб. Под выгон же на 10 лет – 50 десятин за 75 руб. у крестьян деревень Хохловки, Шайдровой и села Царицына (соседних с зюзинскими земель)[654]654
ЦИАМ, ф. 11, оп. 5, д. 199, л. 11.
[Закрыть].

Воскресный день в деревне. Игра в городки. Художник А. Земцов
Пахотные земли сельца Шаболова (5 дес. 1689 кв. саженей), близкие к селу Зюзину, по сведениям от 1870 г., зюзинские крестьяне арендовали у владелицы Шаболова Екатерины Николаевны Ржевской, по 10 руб. в год за десятину. Уже в 1865 г. Ржевская отдала в аренду всю усадьбу с строением, садом, огородом, оранжереями и грунтовым помещением шаболовскому крестьянину Василию Лаврентьеву на 5 лет по 200 руб. в год[655]655
ЦИАМ, ф. 11, оп. 1, д. 1197, лл. 185–185об.
[Закрыть].
На 1 января 1883 г., по сведениям Статистической ведомости, из 175 крестьян-собственников один только Илья Федоров Горшков окончательно выкупил свой надел[656]656
ЦИАМ, ф. 184, оп. 10, д. 2361, л. 2.
[Закрыть]. Впрочем, Горшков еще 8 мая 1875 г. внес «причитающиеся с него в уплату выкупной ссуды за землю на одну душу в количестве 354 ¼ кв. сажени усадебной и полевой 1 десятина 894 ½ кв. сажени всего наличными деньгами 84 рубля, которые записаны на приход в депозит Казенной Палаты».
А всего в селе было тогда 69 изб (193 мужчины, 216 женщин, среди них 118 грамотных). Хлебный магазин, где прежде накапливался хлебный запас, был уничтожен. Вместо хлеба с крестьян теперь брали денежный сбор. Общая сумма недоимок, оставшихся за селением, составляла 966 руб. 92 коп.
Все крестьянские наделы располагались единым клином в южной половине имения, смежной с сельцом Марковом, входившим тогда в пустошь Емельяновскую. Земли общества состояли из следующих угодий: «под усадьбами, огородами и садами – 82 десятины 1840 кв. сажен, пашни 150 десятин 23 981 кв. сажень, сенокосу по оврагам 12 десятин 1762 кв. сажени, сенокосу по вырубленному лесу 46 десятин 1600 кв. сажен, выпуску (для выпаса) 3 десятины 800 кв. сажен; итого удобной 296 десятин 1193 кв. сажени и неудобной 16 десятин 1657 кв. сажен со всеми на сей земле находящимися строениями и всеми ее принадлежностями, при обозначении оных на плане». План крестьянского надела был, как обычно, составлен, но спустя десятки лет многие межевые знаки утратились. И в марте 1903 г. уполномоченные от общества крестьян селения Зюзина Московского уезда Семен Иванов Городилин, Иван Васильев Соломатин и сельский староста Василий Яковлев Панов обратились в Московское губернское правление с прошением о возобновлении знаков и отграничении крестьянского надела в дачах сельца Изютина и села Борисоглебского, Зюзино тож[657]657
ЦИАМ, ф. 210, оп. 13, д. 193, л. 2.
[Закрыть].
Этот план, составленный исполняющим обязанности уездного землемера инженером Иваном Взоровым, сохранился в Центральном историческом архиве Москвы. Землемер указал тот же состав удобной земли, что приведен выше, и детально промерил неудобную (для земледелия) землю: под улицами и проселочными дорогами – 6 десятин 1645 кв. сажен, под большими дорогами – 7 десятин 1200 кв. сажен, под оврагами и рытвинами – 1 десятина 1300 кв. сажен, под прудами – 2312 кв. сажен.
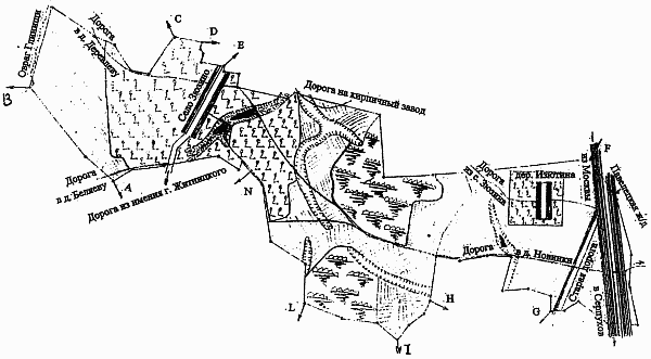
Посмотрите на прилагаемый план земли Зюзинского сельского общества, составленный в 1903 г. Если сравнить его с опубликованным ранее планом села Зюзина, видно, как увеличились крестьянские сады у села Зюзина, примыкавшие непосредственно к крестьянским дворам, разместившимся по обе стороны улицы.

1903 г. Крестьянский надел Зюзинского сельского общества. Выкопировка из планов Генерального межевания дач села Зюзина, Борисоглебское тож, и деревни Изютиной, Волхонка тож, на крестьянский надел вышеупомянутых села и деревни; отграничение производил и план составил 17 июня 1903 г. и.о. уездного землемера инженер И. Взоров.
Видны два пруда в овраге у села. Один из них – Средний пруд, тот, что сейчас находится на Керченской улице у поликлиники № 33. У деревни Изютиной (Волхонка) тоже были небольшие приусадебные сады и прудец в овраге неподалеку. Но основное достоинство изютинских земель – отличная пашня. Между селениями обозначена полоса леса между пашнями, но в описании сообщается, что лес вырублен, поредел и используется на сенокос.
Отмечена и дорога на кирпичный завод, который находился за Волконским оврагом на землях сельца Изютина. Это был тот самый завод, который построил Д.А. Романов в 1888 г., где трудилось 150 рабочих. Как правило, это был приезжий люд, и для них Романов построил каменную казарму. Но не исключено, что и постоянные жители занимались сезонной работой на заводе.
Как обычно, показаны на плане и смежные владения – уникальные штрихи времени, не встречаемые мною до сих пор. AB – отхожая пустошь Боташова, владение крестьян деревень Деревлевой и Беляевой; B–C – владения акционерного общества кирпичного завода, бывшего Яснова (дер. Новоселок); C–D – владения причта церкви при с. Зюзине; D–E – занадельная земля статского советника г-на А.А. Воздвиженского; E–F – занадельная земля наследников господ Романовых; F–G – владения крестьян деревни Новинки; G–H – владения крестьян деревни Нижних Котлов; H–J – владения крестьян деревни Ногатиной; J–L – пустоши без названия и Гридина, владения крестьян села Конькова; L–N – владения инженера титулярного советника г-на А.И. Антоновича; N–A – имения коллежского секретаря г-на И.И. Житницкого, два последние относятся к сельцу Маркову.
Кстати, по данным окладной земской книги 1902 г., в селе Зюзине имел владения не только Воздвиженский (дом и 1 дес. 893 сажени), но и еще три значительных лица: дворяне Андреевы Николай Аркадьевич (дом и 13,3 дес.) и Сергей Аркадьевич (13,4 дес.) и гвардии полковник Шестаков Валериан Николаевич[658]658
ЦИАМ, ф. 11, оп. 5, д. 205, л. 66.
[Закрыть].

Ремонтные работы на железной дороге
Шестаков с 1885 г. снимал в аренду 1 десятину церковной земли на 12 лет за 25 руб. серебром ежегодно в пользу причта села Зюзина. Контракт на аренду был заключен и вторично, в 1898 г., на тех же условиях. По контракту он имел право возвести на арендуемой земле строение, развести сад и огород, даже продать строение с правом аренды, но по окончании аренды все снести[659]659
ЦИАМ, ф. 203, оп. 682, д. 170, л. 6.
[Закрыть].
Земли крестьянского общества протянулись до Серпуховской дороги, которая у сельца Изютина отходила по новой трассе, параллельно проложенной Павелецкой железной дороге. Для ее прокладки, по постановлению Управления № 274 от 13.12.1903, из земель Зюзинского сельского общества было отчуждено 5,5 десятины. Аналогичное отчуждение произошло и с соседними селениями, по которым прошла эта железная дорога: д. Верхние Котлы (5,5 дес. – 1901 г.), д. Котлякова (15,2 дес. – 1903 г.), д. Чертанова (0,6 дес. – 1909 г.), с. Покровское-Городня и Покровские выселки (34,8 дес. – 1906 г.)[660]660
ЦИАМ, ф. 11, оп. 4, д. 482, лл. 7об.–8.
[Закрыть]. В связи с этим в Зюзинском сельском обществе на 1908 г. значилось уже 291 десятина удобной земли, облагаемой земскими сборами. Соответственно снизились земские сборы с крестьян.
Портреты семей во времени
Зюзинское сельское общество, получившее во владение крестьянские наделы в 1861 г., сложилось из крестьян села Борисовское, Зюзино тож, и деревни Изютиной, Волхонка тож. В XX в. у села употреблялось только одно название – Зюзино, а у деревни только второе – Волхонка, первое забыли даже жители обоих населенных пунктов. Впредь так и буду звать – привычными для XX в. названиями. Что за семьи здесь жили, можно представить по Подворной переписи 1869 г., оказавшейся последним документом, столь подробно описывавшим все семьи и села, и деревни. В Зюзине было 66 дворов, а в Волхонке – 9 дворов.
Чтобы понять, как и когда образовались в Зюзине крестьянские фамилии, как они видоизменялись во времени, я проштудировала все найденные мною переписи, где записаны поименно все жители селения, начиная с самых ранних сохранившихся писцовых книг (1627– 1629 гг.). Тут и отказные книги 1634 г., 1644 г., 1646 г., 1666 г., 1684 г., 1721 г.; и переписные книги 1704 г., 1709 г., 1710 г., 1718 и 1719 гг.; и ревизские сказки 1-й ревизии (1723–1724), 2-й (1748) (сказок 3-й и 4-й ревизий не нашла), 5-й (1795), 6-й (1811), 7-й (1816), 8-й (1834), 9-й (1850), 10-й (1858); и Подворная перепись 1869–1871 гг., а также все метрические книги с 1777 г.; и исповедные книги с 1740 по 1918 г., кроме тех, что архив, к сожалению, не выдал из-за ветхости. И хоть указания возраста жителей в этих документах нередко не совпадали (ведь годы записывали со слов, никаких документов об этом не существовало), но все же по ним можно было найти точную линию развития родословной.
Несомненно, эти владельцы, хоть они и низкого происхождения, достойны подробного описания. Ведь их руками созданы все те богатства, которыми владели их господа, а теперь и они сами. Поэтому, задумав изначально написать крестьянские родословные села Зюзина, я решила не перечислять поколенные росписи всех фамилий, хотя собранные материалы позволяют это сделать. Наверное, я это сделаю позже, в отдельной книге. Ведь в поколенной росписи не передашь все те эпизоды и случаи, которые удалось обнаружить в различных документах, все те повороты судеб, которые удалось прояснить, сопоставив и проанализировав различные источники.
Наберись терпения, читатель: дворов много, за двести с лишним лет на месте 6 дворов образовалось 66, семьи разрастались, пересекались, плодились и угасали; фамилии возникали с новыми прозвищами или возрождались по старым прозваниям. Процесс формирования фамилий происходил, не прерываясь, весь рассматриваемый в этой главе период – с 1627 по 1869, а затем и по 1962 г.
Постараюсь подробнее рассказать обо все тех семьях, которые сложились ко времени Подворной переписи 1869–1871 гг. (далее Переписи 1869 г.) и которым были выданы крестьянские наделы. Коснусь только села Зюзина, так как жители деревни Волхонки появились в переписях по зюзинскому имению только с 6-й ревизии, после приобретения деревни в начале 1811 г. И.И. Бекетовой, и были записаны в 6-й ревизии (1811 г.). А линии отдельных фамилий села прослеживаются начиная с самых давних переписей – 1627–1629 гг.
В 1-м дворе жил Михаил Андреев Лудилкин, 43 лет, с женой и детьми. На дворе был каменный дом в первом ряду и деревянный – во втором ряду, позади каменного. Этот обычай строить дома для семей подрастающих сыновей во втором, а то и в третьем ряду существовал в селе издавна. А первые по перечню переписи дома находились на самой древней части улицы.
Тогда крестьянские дома ставились на стороне, противоположной господской усадьбе. Улица ограничивалась с одной стороны полосой церковной земли, которая располагалась севернее церкви, поперек господских земель, от Волконского до Безымянного оврага, а с другой стороны – околицей. До 1845 г. она не удлинялась, вдоль дороги умещалось не более двенадцати дворов.
Михаил Андреев жил с женой и четырьмя дочерьми в каменном доме, а его старший сын Иван, 22 лет, жил с женой в деревянном доме. Михаил Андреев, хоть и записан в Переписи 1869 г. Лудилкиным, являлся внуком Савелия Борисова сына Заварзина, а отец его при 9-й и 10-й ревизиях носил фамилию Морев. Как правило, исходную фамилию сохраняли либо старшие сыновья, либо младшие, остающиеся в доме отца после отселения семей старших сыновей. Впрочем, жесткого закона не было. Случалось, что фамилию главы семейства сохраняли не только родные дети, но и прийматы.
Заварзины – часть самого древнего и многочисленного древа, родоначальником которого был деловой человек Омельянко Леонтьев, отмеченный в переписи 1627–1629 гг. Два его сына – Козма Омельянов и Сенка Омельянов – были крестьянами в Зюзине в 1644 и 1646 гг. В том же 1646 г. в Зюзине крестьянствовал Гарасимко Емельянов, третий его сын, с прозвищем Гайдук. Видно, Гараска был высокого роста и до крестьянствования служил у господ гайдуком – прислугой при езде, что стоял на запятках кареты. Через 20 лет из Омельяновых детей упоминается только Гараска, у которого было уже два сына – Олешка и Петрушка. При переписи 1684 г. старший сын был записан с прозвищем отца: Алешка Гарасимов сын Гайдук, с ним брат Оска и сын Пашка. Петрушки уже не стало, а дети Петрушки – Онашка, Сережка и Ивашко – жили в соседнем с Алешкой доме. У Онашки и Сережки уже были дети. От трех сыновей Петрушки пошли три ветви, основная из которых – Заварзины.
Фамилия Заварзин образовалась от прозвища Заварза (у Даля, заварза́ть – запроказить, задурить). Прозвище это отмечено у Ивана Петрова в 1710 г., когда он со своими детьми жил отдельно от своих братьев Онанья и Сергея. На дворе Онанья Петрова для детей уже умершего Сергея была отдельная изба.
В 1718 г. двор Ивана Петрова уже был пуст, а три его сына (Максим, Борис и Михайла) жили в соседнем дворе у дяди Алексея Гарасимова Гайдука, так как после смерти отца по бедности не могли взять на себя тягла, хотя старшему Максиму было уже 39 лет. У 60-летнего Алексея Герасимова были жена и сын Павел, 40 лет, с женой и детьми. Но через три года не стало ни дяди Алексея Гарасимова, ни его сына Павла. На дворе осталась только вдова Павла и два его сына. А Максим и Борис с семьями и подросток Михайла вернулись на свой двор. В отказной книге 1721 г. они были записаны под фамилией Новиковы, как и семейства, образовавшиеся от других детей Петровых: у Обрама Онаньина сына Новикова, – и у трех детей Сергеевых Новиковых. Однако позже эта фамилия, объединявшая родственные семьи, в Зюзине не повторялась. Ветвь от Онанья угасла, а потомок Сергея только в 1816 г. получил прозвище Пархай (у Даля, парха́й – нечоса, неумывака, оборванец) – о нем расскажу позже (см. 58-й двор).
В 1740 г. Максима и Михаила с семействами переселили в деревню Новоселки, которую через сорок лет продали владельцу Шаболова. Среди жителей Новоселок позже появилась фамилия Новиковы, но эту линию я уже не прослеживала. В селе Зюзине остался средний сын Ивана Заварзы – Борис (1713–1877). Дети Бориса взяли фамилию Заварзины. Сначала это сделали второй и третий его сыновья – Григорий (1733–1809) и Спиридон (1736– 1810): в 5-ю ревизию (1795) они записаны под фамилией Заварзины. А старший сын Алексей (1730–1803) записан под прозвищем Зирин (у Даля, зи́реть – глядеть зорко; зиро́н – ротозей, зевака). Однако уже на следующей ревизии (1811) Алексей тоже записался под фамилией Заварзин.
Заварзины – род многочисленный, от него ответвились и другие фамилии. От старшего Алексея Борисова – Лудилкины, Мурашовы, Папковы, Жендарев. От среднего Григория Борисова – Бурлаковы, Чучины, Моревы, Симагины. От младшего Спиридона Борисова – Спиридоновы, Корневы, Корьёвы.
У Григория Борисова было три сына: Леонтий, Савелий и Петр. Уже в 5-й ревизии Григорий со своим семейством был записан в 1-м дворе. Петр умер еще до 5-й ревизии, Леонтий с семьей отселился в конец улицы до 6-й ревизии (1811). В доме к 6-й ревизии остался Савелий с женатым сыном Андреем. После смерти Григория Борисова (1809) Савелий не был записан Заварзиным ни в 7-й, ни в 8-й ревизиях. Впрочем, к 8-й ревизии Савелья уже не стало (1829) – (в ревизских сказках упоминали всех, кто был назван в прежней переписи с указанием причины отсутствия). А Савельев сын Андрей взял другую фамилию: в 9-й и 10-й ревизиях он значится под фамилией Морев (у Даля, мо́ра – мрак, тьма, сумрак, потемки).
Внук Михаила Андреева Василий Иванов в браке в Анной Ивановой в метрических книгах начала XX в. использовал две фамилии. И фамилию Савельев, когда в браке с первой женой 20 мая 1904 г. у него родился сын Иоанн, и когда 1.06.1907 в возрасте 29 лет от чахотки умерла его первая жена, она была записана как Анна Иванова Савельева. И фамилию Морев – когда он, 37 лет, 2 мая 1908 г. вторым браком женился на 18-летней девице Марии Алексеевой Медниковой. Но вскоре Василий Иванович Савельев, 40 лет, умер, тоже от чахотки. Его 18-летний сын от первого брака Иван Васильев Морев записан в Именном списке граждан села Зюзина в 1922 г.[661]661
ЦГАМО, ф. 674, оп. 1, д. 146, л. 1.
[Закрыть] Он был очень беден – имел надел всего в 1000 кв. саженей, без коровы и без лошади, и с этого хозяйства на половину платежного пая должен был платить 1 млн 150 тыс. руб. в дензнаках 1922 г.[662]662
ЦГАМО, ф. 674, оп. 1, д. 674, л. 56.
[Закрыть]
Интересно, что в 1927 г. Иван Васильев был записан в Именном списке Зюзинского земельного общества по самообложению под фамилией Савельев. Как видно, процесс становления фамилии «Савельев» еще продолжался. За свое маленькое хозяйство он платил лишь 2 руб. налога[663]663
ЦГАМО, ф. 674, оп. 1, д. 418, л. 8.
[Закрыть]. Иван Васильевич Савельев в сентябре 1941 г. был призван на фронт Великой Отечественной войны и домой не вернулся. А фамилию продолжил его сын Василий Иванович Савельев.
Во 2-м дворе в деревянном доме жил Илья Федоров Горшков, 55 лет, с женой. Он происходил из рода Пановых. Это древняя фамилия, родоначальником которой являлся записанный в отказной книге 1666 г. «Васка Пантелеев с сыновьями Куземкой, Ивашкой, Потапкой». В 1710 г. семьи двух братьев Ивана Васильева, 60 лет, и Потапа Васильева, 55 лет, с семьями жили в двух отдельных избах на одном дворе. В 1721 г. оба они были записаны под фамилией Пановы. А сын Ивана Алексей Панов был старостой села Зюзина при переписи в 1723–1724 гг. и вплоть до 1740 г.
В 1742 г. семьи двух детей Ивана – Алексея и Семена, а также семьи всех детей Потапа были переведены в деревню Новоселки, а в Зюзине из Пановых осталась только семья Ивана Иванова, у которого было два сына: женатый Козма и 17-летний юноша Антон. К 5-й ревизии семьи обоих братьев жили в двух соседних домах. Семья Антона Иванова (а ему было уже 70 лет) очень выросла. В доме жили семьи его сыновей – Алексея, Ивана, двух Федоров и две семьи его пасынков – Василия и Николая, сыновей его второй жены Вассы Васильевой, бывшей в первом браке замужем за Афанасием Алексеевым. (О последних я расскажу позже, см. 64-й двор.)
Илья Федоров Горшков – внук Антона Иванова Панова. Он родился 11 июля 1815 г., за полгода до 7-й ревизии. К этому времени в родном доме с Антоном Ивановым остались трое младших сыновей: Иван, Федор большой, Федор меньшой. При рождении сына Федор Антонов меньшой был записан в метрической книге 1815 г. под фамилией Гаршков. А 12 апреля 1817 г. попросту – умре крестьянин Федор Антонов Гаршок, 31 году от роду. (Это прозвище, записанное искаженно, горшок; возможно, Федор Антонов был специалистом по изготовлению горшков, глину ведь можно было добыть в окрестных оврагах.) Ни Федор большой, ни Федор меньшой не были записаны при ревизиях с фамилией Пановы.
А к 8-й ревизии в доме остался единственный мужчина Илья Федоров, недавно женившийся, но еще не ставший дворовладельцем. К 9-й ревизии (1850) он уже был самостоятельным хозяином и официально был записан под фамилией Горшков.
В метрических книгах 1900–1918 гг. я обнаружила записи об Иване Данилове, женатом на Александре Михайловой. У них рождались дети, и Иван Данилов был записан то Горшковым, то Лапшиным. 27.10.1918 Иван Данилов Горшков, 42 лет, умер от воспаления легких. А в Именном списке граждан села Зюзина значилась Александра Ивановна Горшкова, 51 года, с детьми Алексеем, 27 лет, и Пелагеей, 19 лет[664]664
ЦГАМО, ф. 674, оп. 1, д. 146, л. 1.
[Закрыть]. Домохозяином значился Алексей Горшков, и семейный надел – десятину с четвертью пахотной земли, не имея ни коровы, ни лошади, он платил за 1 ¼ платежных паев в хозяйстве сельского общества 2 млн 875 тыс. руб. в дензнаках 1922 г. Жил он в соседнем дворе с И.В. Моревым, как веками жили их семейства[665]665
ЦГАМО, ф. 674, оп. 1, д. 674, л. 56.
[Закрыть]. А в 1927 г. Алексей Михайлович, как и сосед, поменял фамилию: теперь он стал Лапшин. Он был так же беден, как и сосед, и тоже платил 2 руб. налога по самообложению. Сын его Яков Алексеевич пропал без вести в 1943 г.
В соседнем, 3-м дворе в деревянном доме жил Алексей Яковлев Булкин, 35 лет, с женой и четырьмя детьми (дочь и трое сыновей); в доме также жили мать Алексея Яковлева, два брата, Иван и Илья, и сестра. Сын его Яков Алексеевич Лапшин пропал бе вести в 1943 г.
Булкин также был из рода Пановых. У упомянутого выше Антона Иванова Панова был родной брат Козма, старше Антона на 15 лет. У Козмы в первом браке было три дочери. Уже за 50 он женился во второй раз, и во втором браке у него наконец родился сын Иван. Козма вскоре умер, и его вдова Марфа Федотова некоторое время жила с сыном и падчерицей Анной в доме Антона Иванова. Потом ее выдали замуж за Никифора Антонова, с которым у Марфы родился еще один сын – Иосиф. Поселились они в своем отдельном доме.
Еще до 5-й ревизии Иван Козмин Панов жил отдельным домом с женой и двумя сыновьями. Отчим с матерью и с семьей Иосифа тоже жили отдельным домом. Но вскоре умер малолетний сын Иосифа, потом его жена, потом мать; потом Иосифа забрали в рекруты, и Никифор Антонов остался один. Доживал он свои дни в доме Антона Иванова, а старший сын Антона Иванова Алексей переселился с семьей на двор Никифора Антонова. Три сына Ивана Козмина Панова – Григорий, Федор, Максим – при 7-й ревизии (1816) жили в одном доме и все были записаны под фамилией Бибневы. Наиболее вероятным исходным понятием для этой фамилии могли стать слова (по Далю): бебе́ня – род кулаги, заварихи; бебе́нь – человек. Тем более что подобное звучание подтверждается записью от 1817 г.: Федор Иванов при своем 2-м бракосочетании с Анной Петровой Хромовой был записан именно под фамилией Бебнев.
В начале XX в. Иван Семенов (см. 42-й двор) в метрических книгах был записан и как Бибнев, и как Бибиньков, Бибишков, Бибашков. (Последние формы можно выводить от слова бибика, у Даля – всякая дурная, бедная пища.) После Григория сыновей не осталось. Максим был переведен в дворовые, а в 1830 г. взят в рекруты. У Федора было два сына – Яков и Сергей.
Еще при жизни Федора Иванова (ум. 1848) его старший сын прозывался Яков Федоров Морковкин, как обозначено в метрической книге, когда у него в 1841 г. умерла дочь Елена. Но когда Яков Федоров выделился (перед 9-й ревизией) из отцовского двора, оставив там младшего брата Сергея, в ревизской сказке его записали под фамилией Бибнев. Под этой же фамилией оба брата были записаны и в ревизской сказке 10-й ревизии. К Переписи 1869 г. в доме Якова Федорова дворовладельцем стал его старший сын Алексей, но фамилию он сменил – стал Булкиным. Эту фамилию взяли впоследствии и два младших брата Алексея – Иван и Илья, и дети всех трех братьев. (Отмечу сразу, что младший брат Якова Сергей Федоров при Переписи 1869 г. стал Морковкиным; см. 45-й двор.) Фамилию Булкин в XX в. закрепили дети и Алексея, и Ильи Яковлевых.
Михаил Алексеев Булкин женился поздно, 31 года, на вдове Анне Ермолаевой Сальниковой, 42 лет. К 1922 г. детей у них так и не появилось. Но брат Михаила, Дмитрий Алексеев Булкин, в браке с Ольгой Андрияновой имел много детей. К 1922 г. их осталось четверо: Пелагея (род. 19.04.1904), Владимир (род. 8.07.1910), Мария (род. 21.07.1913), Павел (род. 55.12.1915). Но земельный надел у него был всего 1 пай; не имея ни коровы, ни лошади, он платил 2300 тыс. руб. в дензнаках 1922 г.[666]666
ЦГАМО, ф. 674, оп. 1, д. 146, л. 6об.; л. 674, л. 55об.
[Закрыть] В 1927 г. как беднейшие крестьяне оба брата Михаил и Дмитрий Булкины были освобождены обществом от самообложения[667]667
ЦГАМО, ф. 674, оп. 1, д. 418, лл. 9, 11.
[Закрыть]. Сын Дмитрия Павел Булкин воевал на фронте.
Сын Ильи Иван, 20 лет, 28 января 1901 г. женился первым браком на 20-летней Пелагее Егоровне Сковородовой. И первые годы семья жила в Москве. Но 9 сентября 1908 г. Илья Яковлев, 53 лет, умер от простуды, оставив 18-летнюю дочь Евдокию и сына-подростка Егора (1895 г. р.). Иван с семейством вынужден был вернуться в село. Он выдал (10.11.1908) сестру за Ивана Сергеева Заварзина, а заботы о брате Егоре взял на себя.
В семье Ивана Ильина росло двое сыновей, когда он, служивший в Красной Армии, пропал без вести. Его старший сын Иван уже работал наравне с другими членами ККОВ (Комитет крестьянского общества взаимопомощи). Земля при разделе 1918 г. была выделена обществом на 5 едоков.
Егор Булкин, по-прежнему живший в одном доме с семьей брата, был одинок. Вероятно, взаимоотношения в семье не сложились. И в 1922 г. Егор Ильин Булкин подал заявление о разделе всего движимого и недвижимого имущества «ввиду невозможности жить совместно». А так как у Пелагеи Егоровой было два сына – Иван, 20 лет, и Виктор, 12 лет, – то «Земельная комиссия Ленинского волгорсовета постановила разделить имущество на 3 части. Е. Булкину выделить ⅓ часть из всего имущества. Опись имущества производили за председателя М. Заварзин, члены совета Иван Журин, М. Гусев, уполномоченный И. Тюрин, секретарь Н. Корьёв». Нарсуд поддержал это решение, взыскав при этом судебные издержки с гражданина Булкина[668]668
ЦГАМО, ф. 674, оп. 1, д. 156, лл. 2–9.
[Закрыть].
Впоследствии Егор Ильич Булкин стал сельским общественным деятелем. В 1925 г. были укрупнены территории сельсоветов, которые стали называться группсоветами, т. к. объединялись несколько селений. Так, в Зюзинском группсовете были объединены тогда Зюзино, Волхонка, Шаболово и Троицкое-Черемушки. Е.И. Булкин был избран в члены группсовета[669]669
ЦГАМО, ф. 66, оп. 11, д. 2863, лл. 1, 3, 3об.
[Закрыть]. В 1927 г. (сельсоветы как раз разукрупнили) он уже председатель сельсовета и в этой должности состоял два года. Позже его фамилия в документах не появляется, так как он многие годы работал в городе, на производстве, как тогда говорили, в колхозе, хотя жил в Зюзине. Женился Егор Ильич уже после раздела с Пелагеей Егоровной. Его жена Александра Гавриловна была не зюзинских корней. У них родилось трое детей: Анна, Анатолий (1931 г. р.) и Людмила (1940 г. р.). Александра Гавриловна пошла работать в колхоз, когда у неколхозников стали отрезать земельные наделы, и ее записали в шнуровой книге колхоза, составленной в 1939 г. В книге учета членов колхоза им. 9 января за 1947 г. она, 1902 г. р., как глава семьи записана с двумя детьми, Анатолием и Людмилой Егоровичами. Но в книге учета членов колхоза им. Молотова за 1952 г. (в 1950 г. зюзинский колхоз был укрупнен и переименован) члены семьи уже не указаны – ни сын, ни дочь.








