Текст книги "Хазария и Терек"
Автор книги: Лев Гумилев
Жанр:
История
сообщить о нарушении
Текущая страница: 1 (всего у книги 1 страниц)
Лев Николаевич Гумилев
Хазария и Терек
Наши исследования, посвященные установлению функциональной связи явлений физической географии и палеоэтнологии на материале истории Центральной Азии и археологии дельты Волги, позволили сделать следующие выводы:
1. Историческая судьба изучаемой народности, являющаяся результатом его (данного народа) хозяйственной деятельности, непосредственно связана с динамическим состоянием вмещающего ландшафта.
2. Археологическая культура (данного народа), представляющая собой кристаллический след его исторической судьбы, отражает палеогеографическое состояние ландшафта в эпоху, поддающуюся абсолютной датировке.
3. Сочетание исторических и археологических материалов позволяет судить о характере данного вмещающего ландшафта в изучаемую эпоху и, следовательно, о направлении его изменений. И наоборот, наличие установленных данных о колебаниях климата, а тем самым и о соотношениях ландшафтов между собой дает возможность отыскания памятников давно исчезнувших народов.
4. При таком подходе становится возможным историко-географический синтез, на базе которого можно будет делать прогнозы, имеющие хозяйственное значение.
Проверке этих положений была посвящена полевая работа Северокаспийской палеогеографической экспедиции; НИГЭИ ЛГУ и Хазарской археологической экспедиции Государственного Эрмитажа в 1963 г. Нужно было доказать также и то, что сформулированные положения имеют не локальный, а докуменальный характер, и могут быть прослежены за пределами дельты Волги. Объектом исследования была избрана долина Терека, где древности изучены недостаточно и хазарские памятники до сих пор не были открыты, а именно они представляют наибольшее значение для решения поставленной проблемы.

Условные обозначения

Рис. 1. Терская Хазария в VIII–XII вв.
Широкая долина Терека, согласно всем историческим источникам, была населена хазарами. В V–VI вв. эта страна называлась Барсилия и, по мнению византийских хронистов Феофана и Никифора, здесь находилась родина хазар.[1, с.130]1
Артамонов М. И. История хазар. Изд. Гос. Эрмитажа, Л., 1962.
[Закрыть] Там же, на берегу Терека[1, с.399]1
Артамонов М. И. История хазар. Изд. Гос. Эрмитажа, Л., 1962.
[Закрыть] располагался богатый город Семендер, разрушенный Святославом.[1, с.444]1
Артамонов М. И. История хазар. Изд. Гос. Эрмитажа, Л., 1962.
[Закрыть] Следовательно, хазары обитали в этой области не менее 400 лет.
Однако более точная локализация Терской Хазарии встретила ряд трудностей физико-географического характера.
Как всякая текущая в широтном направлении река, Терек блуждает по широкой равнине, затопляя те или иные участки степи. Даже теперь, когда русло Терека укреплено дамбами, долина его в низовьях затопляется почти ежегодно. Разливы реки делали эту местность непригодной для оседлых поселений, особенно в I тысячелетии н. э., когда степная зона Евразии переживала эпоху увлажнения. Значит, хазарские поселения должны были располагаться по среднему течению Терека, в том месте, где ногайские песчаные дюны ограничивают с севера речную долину и дают населению возможность не бояться наводнений. На окраине этих песков ныне расположены станицы гребенских казаков, бывших такими же виноградарями, охотниками и воинами, как средневековые хазары.
Между закраиной песков и широколиственным лесом, окаймляющим Терек, тянется полоса степей шириной от 3 до 10 км. Ныне это единственно населенная часть долины. Итак, на левом берегу Терека сочетаются четыре микроландшафта: густой лес, сухая степь, песчаная пустыня и ниже заливные луга с порослями камыша. Разумеется, за 2000 лет соотношение этих микроландшафтов менялось, и археологические памятники позволят проследить характер изменений.
На очерченной территории после I века н. э. существовали четыре культуры: сармато-аланская, близкая к ней по технике изготовления керамики хазарская, ногайская и русская. Сармато-алано-хазарская культура, датирующаяся I тысячелетием н. э., представлена двумя городищами в степной зоне: одно – выше станицы Шелковской, другое – у пос. Кордоновки, ниже Кизляра. Оба городища находятся на берегах стариц Терека, окружены валами из саманного кирпича, расплывшимися до естественного уклона, и рвами, заплывшими почти до краев. Разнятся они по плану, керамическому материалу и местоположению. Крепость у Кордоновки (см. рис. 2) – овал, вытянутый вдоль сухого русла. Керамика внутри ее двух типов: 1) черноглинная, изготовленная на гончарном круге, плохо прожженная, орнаментированная, с лощением и с венчиком, отогнутым наружу, сосуды большие, плоскодонные; 2) сероглинная, лепная, хорошо прожженная, лощеная. Оба типа находят аналоги: в сарматской керамике I–II вв. Городище находится посреди широкой равнины, образованной наносами Терека, в верхней части его дельты. Крепость у станицы Шелковской (см. рис. 3) представляет правильный квадрат. Длина стороны – 200 м. Посреди каждого вала – ворота, по сторонам которых расширения для башен. Кроме того, на каждой стороне по 8 оснований башен. Ров шириной в 50 и глубиной 1,5 м обходит стены со всех сторон, и, поскольку высота валов колеблется от 5,5 до 6,0 м, крепость представляет солидное сооружение. Керамика внутри крепости сероглинная, изготовленная на гончарном круге, тонкостенная, частично лощенная, очень хорошо прожженная. Сосуды большие, с венчиком, отогнутым наружу, – видимо, они употреблялись для хранения пищи и воды. Ближайшая аналогия этой керамики – керамика салтовской культуры. Эта крепость была сооружена позднее, чем описанная выше. Об этом говорит и планировка – жесткий квадрат, без учета особенностей рельефа, тогда как крепость у Кордоновки имеет валы, повторяющие изгибы старицы, на берегу которой она стоит.

Рис. 2. План крепости у пос. Кардановка.

Рис. 3. План крепости у станицы Шелковской, разрез вала и рва.
Самое интересное заключается в том, что крепость у Кордоновки расположена на гладкой равнине, подверженной наводнениям. Следовательно, время ее сооружения совпадает с эпохой усыхания аридной зоны, т. е. с II–IV вв., когда аланы вели войну с гуннами и нуждались в крепостях [прим. 1]1
Гунны победили алан, «истомив их бесконечной войной» (Иордан). Окончательная победа была ими достигнута в 370 г. В 46З г. из-за Волги на Северный Кавказ вторглись сарагуры, победившие гуннов, и родственные им барсилы, обосновавшиеся в Прикаспии. Остатки гуннов, смешавшиеся с местными сарматами, – это хазары (Артамонов М. И. История хазар. Изд. Гос. Эрмитажа, Л., 1962). Около 567 г. хазары подчинились тюркютам и вместе с ними совершили походы в Закавказье, а также участвовали в их распрях. После падения Западно-Тюркютского каганата хазары основали свой, сохранив престол за династией Ашина.
[Закрыть]. В эту эпоху низовья Терека при его тогдашнем маловодье могли быть заселены местными жителями, но при очередном увлажнении (V–X вв.) это стало невозможно. В это время обитатели долины Терека хазары избрали местом поселения окраину ногайских песков, где мы находим следы их поселений и огромные скопления керамики.
Кроме поздней ногайской, керамика здесь двух типов – серая и бурая (от обжига поверхности), что характерно для хазарских могильников на Волге, где оба типа встречаются вместе. Орнамент довольно примитивный – насечка или волна, прочерченная под отогнутым наружу венчиком. Сосуды большие, с гладкими стенками и плоским дном, исключительно лепные. Толстостенные, пористые, они больше, чем нижневолжские, так как служили для хранения воды, чего в дельте Волги не требовалось. Скопления фрагментов керамики обследованы у станиц Червленой, Щедринской, Гребенской и Каргалинской, на окраине песчаной возвышенности. Глубже в песках, на второй гряде дюн, встречена лишь поздняя, ногайская керамика – розовая, хорошо прожженная, звонкая, напоминающая татарскую керамику XIV в.
Там же, в песчаных выдувах, обнаружены погребения. Около станицы Червленой в песке найден скелет: ориентированный на запад, он лежал на спине с вытянутыми руками. Рядом находились обломки серого и красного сосудов. Около станицы Щедринской в обрезе глубокого выдува, во второй гряде дюн, под линзой насыпной серой земли высотой 2,5 м найдены остатки погребения – тазовые и берцовые кости, позволившие установить, что труп был похоронен в яме сидя. Кости, очень плохой сохранности, сопровождаются фрагментами лепной керамики. Третье погребение, аналогичное предыдущему, тоже сохранилось частично. Оно состояло из черепа, обращенного лицом на запад, длинных костей под черепом и одного позвонка. Остатки ребер и несколько фрагментов лепной керамики были разбросаны вокруг черепа. Погребения этого типа также находят аналогию в телесском обряде погребения,[2]2
Бичурин Н.Я. Собрание сведений о народах, обитавших в Средней Азии в древние времена. М.-Л., 1950.
[Закрыть] обнаруженном на бугре Степана Разина, в дельте Волги.
Археологические находки требуют исторической интерпретации. Хазары – потомки хуннских завоевателей и сарматских женщин – жили в стране Барсилии, бок о бок с болгарским племенем барсилов, которые позднее слились с хазарами в один народ. Барсилия располагалась в степях между Тереком и Волгой. Естественно, что эти три племени, отличаясь друг от друга по языку, религии, нравам и, может быть, антропологическому типу, имели сходный быт и, следовательно, одинаковую посуду. Поэтому различить их по характеру керамики невозможно. Однако керамический материал дает приблизительные абсолютные даты, и, сопоставляя их с намеченными нами периодами увлажнения степной зоны, мы можем прийти к двум важным выводам.
По данным арабских географов, город Семендер, находящийся на берегу Терека в районе Кизляра [прим. 2]2
В.Ф. Минорский, ссылаясь на Худуд-ал-Алам, помещает Семендер в северо-восточном углу Кавказа, южнее Махачкалы (Минорский В.Ф. История Ширвана и Дербенда Х-ХI веков. М., 1963, с.144), но мы принимаем гораздо более убедительную локализацию М.И. Артамонова (Артамонов М. И. История хазар. Изд. Гос. Эрмитажа, Л., 1962, с.399).
[Закрыть], «расположен у озера (или на морском берегу)… в городе много садов и виноградников… Город громадный, но жилища-палатки и строения из дерева с горбатыми кровлями. Построен он Хосроем Ануширваном», т. е. персидскими инженерами VI в..[4, с.179]4
Заходер Б.Н. Каспийский свод сведений о Восточной Европе. М., 1962.
[Закрыть]
Какому из найденных нами городищ это описание может соответствовать? Только городищу около ст. Шелковской. Разлив Терека мог и даже должен был представляться арабскому путешественнику озером. Виноградников там много и теперь. Деревянные жилища не могли сохраниться, и уцелела от времени только саманная цитадель, преграждавшая арабам путь в Хазарию. Отсюда и название: Саман-дар – саманные ворота. Наконец, жесткая квадратная планировка храмов и крепостей известна на Ближнем Востоке с 2000 г. до н. э..[5, т. I, с.363]5
Натапп К. Geschichte der Kunst. Berlin, Akademie Verlag, 1957.
[Закрыть]
Учет физико-географических условий VI в. позволяет отказаться от локализации Семендера на берегу Каспия,[4, с. 181–182]4
Заходер Б.Н. Каспийский свод сведений о Восточной Европе. М., 1962.
[Закрыть] который в те времена был на 4 м ниже, нежели теперь, и, следовательно, берег простирался значительно дальше на восток. Семендер, если его туда помещать, не мог находиться «в двух фарсахах от Серира»,[4]4
Заходер Б.Н. Каспийский свод сведений о Восточной Европе. М., 1962.
[Закрыть] т. е. горного Дагестана, как указано в источнике.
Второй вывод – процветание хазарского народа укладывается в хронологические рамки периода увлажнения аридной зоны. Хазарские памятники обнаружены на берегах рек, на возвышенностях, что говорит об оседлом быте и опасности наводнений. Разумеется, хазары использовали и степи для пастьбы скота, как их использовали впоследствии гребенские казаки и астраханские татары, но для этого им не нужно было становиться кочевниками. В составе хазар настоящими кочевниками были тюрки ханского рода Ашина;[1, с. 398]1
Артамонов М. И. История хазар. Изд. Гос. Эрмитажа, Л., 1962.
[Закрыть],[6, с. 85–87,102–103]6
Гумилев Л.Н. Хазарские погребения и место, где стоял Итиль. – «Сообщения Гос. Эрмитажа», т. XXII, 1962.
[Закрыть] а торговым городским населением – евреи, составлявшие господствующую верхушку.[1, с. 457–458]1
Артамонов М. И. История хазар. Изд. Гос. Эрмитажа, Л., 1962.
[Закрыть] Но сами хазары были земледельцы, садоводы и рыболовы, и, как таковые, они пережили политический разгром своего государства в 966 г., по-прежнему возделывая свои виноградники, ловя рыбу и пася скот.
Но усыхание аридной зоны, связанное с подъемом уровня Каспия до абсолютной отметки минус 20 м,[6]6
Гумилев Л.Н. Хазарские погребения и место, где стоял Итиль. – «Сообщения Гос. Эрмитажа», т. XXII, 1962.
[Закрыть] лишило их возможности вести привычный образ жизни, и после XIII в. имя хазар в источниках не встречается. Последний раз хазары упомянуты у Плано Карпини,[7, с. 72, 209]7
Путешествия в восточные страны Плано Карпини и Рубрука. М., 1957.
[Закрыть] встретившего их в 1246 г. Берега Терека заняли степняки, кочевые ногаи, подданные ханов Золотой Орды.
Исчезновение народа не означает гибели всех людей, его составлявших. Народность (этнос) – не арифметическая сумма людского поголовья, а алгебраическая сумма отношений между людьми при определенном (с некоторым допуском) характере взаимоотношений со средой – соседями и природой.
Это система динамическая, и для ее деформации достаточно пушения любого из перечисленных условий. В XIII в. хазары, не имея больше возможности вести привычный образ жизни, разбрелись. Волжские хазары перешли в ислам и ассимилировались с татарами Золотой Орды. Еврейская верхушка исчезла без остатка; вероятно, спасшиеся от истребления евреи бежали на Кавказ к своим единоверцам – горским евреям и слились с ними. В средние века исповедание веры определяло судьбу людей, и, значит, терские хазары – христиане – должны были искать единоверцев. Таковы были бродники, жившие на Дону.
Бродники – народ смешанного происхождения, говорившие по-русски и исповедовавший православную веру. До 1117 г. они жили совместно с «беловежцами» – русским населением Саркела. После того как беловежцы, теснимые половцами, вернулись на Русь, бродники оказались полновластными хозяевами поймы Дона, которую они удачно отстаивали от половцев. Видимо, какая-то часть бродников была хазарского происхождения, и к своим соплеменникам и единоверцам, на полноводный, текущий из гумидной зоны Дон, только и могли устремиться терские хазары. Они принесли с собой привычную им технику – саманный кирпич, из которого был построен поселок на развалинах русской Белой Вежи,[1, с.453]1
Артамонов М. И. История хазар. Изд. Гос. Эрмитажа, Л., 1962.
[Закрыть] и пригнали стада овец, бывших для них пищей и жертвенными животными.[8]8
Гумилев Л.Н. Хазарские погребения на бугре Степана Разина. – «Сообщения Гос. Эрмитажа», т. XXVI, 1964.
[Закрыть]
Вражда с половцами толкнула бродников на союз с монголами. В 1223 г. они помогли Субутаю разбить русских князей и с тех пор стали лояльными подданными Золотой Орды. В XVI в. их называли уже по-тюркски – казаки.[1, с.453]1
Артамонов М. И. История хазар. Изд. Гос. Эрмитажа, Л., 1962.
[Закрыть]
Усиление казаков и их распространение на восток также связано с климатическими явлениями. Но, как это на первый взгляд ни странно, им помогло дальнейшее усыхание степи. Вспомним, что главными врагами хазар, бродников и казаков были степняки-кочевники – половцы и ногаи [прим. 3]3
В 1538 г., отвечая на жалобы ногайского мурзы, из Москвы писали: «На поле ходят казаки многие: казанцы, азовцы, крымцы и иные баловни – казаки. А и наших украин казаки с ними смешавшись ходят и те люди как вам тати, так и нам тати». А в 1549 г. ногайский князь Юсуф писал Ивану Грозному, что казаки севрюки, которые на Дону стоят, ограбили татарских купцов. И в дальнейшем борьба со степняками была специальностью казаков, принявших на себя ту роль, которую до них выполняли хазары.
[Закрыть]. Усыхание степи сверх привычного им предела подорвало их скотоводческое хозяйство, подобно тому как раньше оно разрушило хозяйство хазар. В результате этого усыхания[9]9
Алексин А.А, Гумилев Л.Н. Каспий, климат и кочевники Евразии. – «Известия О-ва истории, археологии, этнографии при Казанском ун-те». Казань, 1963.
[Закрыть] кочевники ослабели, а силы их противников остались неизменными, перевес оказался на стороне последних. Во второй половине XVI в. казаки овладели долиной Терека.
Татарский период представлен «Трехстенным городищем» – недостроенной крепостью севернее деревни Крайновки в 5 км от берега моря. Она датируется гончарной керамикой, хорошо прожженной, плоскодонной, орнаментированной бороздками, с венчиком, отогнутым наружу. Большая часть фрагментов – красноглинные, меньшая – сероглинные. Ближайшая аналогия – ордынская керамика ХIV-ХVП вв. Но этот тип керамики бытовал около 500 лет и был распространен чрезвычайно широко, вплоть до лагеря Лжедмитрия II под Тушином, и поэтому следует искать других, более точных способов датировки. Этим путем пошел Е.И. Крупнов, впервые описавший это городище и датировавший его ХVI-ХVШ вв.,[10]10
Крупнов Е.И. Городище «Трехстенный городок». – «Советская этнография», 1935, № 2.
[Закрыть].[11]11
Крупнов Е.И. Прикаспийская археологическая экспедиция. КСИИМК, вып. 55. М., Изд. АН СССР, 1954.
[Закрыть] Эти даты принять невозможно по следующей причине.
Основной особенностью крепости является наличие на валах огромного количества солоноводных ракушек Cardium edule, Didachna trigonoides Pallas, Dressensia rostriformis, Dressensia Caspia. Абсолютная отметка гребня валов по ходу Кизляра – минус 19,3 м.[10, с. 128–129]10
Крупнов Е.И. Городище «Трехстенный городок». – «Советская этнография», 1935, № 2.
[Закрыть] Следовательно, уровень Каспийского моря немного поднимался над уже построенными валами или, вернее, омывал их, создавая оптимальные условия для моллюсков.
Е.И. Крупнов, руководствуясь работами П.А. Православлева, принял уровень Каспия при так называемой «Саринской» трансгрессии 1742 г. – минус 17,4 м. Но эта гипотеза опровергнута Л.С. Бергом,[12, с.253, 271]12
Берг Л.С. Уровень Каспийского моря за историческое время. – В кн.: Очерки по физической географии. М.-Л., 1949.
[Закрыть] доказавшим, что в 1742 г. воды Каспия поднялись лишь до абсолютной отметки – минус 23,4 м. Следовательно, эта трансгрессия никакого отношения к валам «Трехстенного городища» не имела. Тем самым снимается не только датировка городища, предложенная Е.И. Крупновым, но и предположение, что здесь мы видим один из острогов Московского государства. Дату сооружения валов следует искать немного раньше.
Сама крепость носит печать незаконченности. Возведены только южный, восточный и западный валы, не вырыты рвы. Фрагменты керамики встречаются чаще на внешней стороне крепости, нежели внутри ее. По-видимому, это остатки посуды строителей валов. Культурный слой внутри крепости мощностью до 45 см, обнаруженный Е.И. Крупновым, характеризуется обломками кирпича, шлаками, угольками, фрагментами керамики, костями рыб и в незначительном количестве костями домашних животных.[10, с. 126–127]10
Крупнов Е.И. Городище «Трехстенный городок». – «Советская этнография», 1935, № 2.
[Закрыть] Сходство керамики «Трехстенного городища» с позднославянской керамикой XVI в. включает и более ранние периоды, например сарматский.
Нельзя согласиться с Е.И. Крупновым и в том, что отсутствие 4-й, северной стены восполнялось руслом Терека, текшего, по словам старожилов, на месте нынешней дороги из ст. Александровской к Каспийскому морю.[10, с.124]10
Крупнов Е.И. Городище «Трехстенный городок». – «Советская этнография», 1935, № 2.
[Закрыть] Следов русла там нет, и если даже здесь была протока Терека, то в низовьях скорость течения снижается настолько, что форсировать реку можно без всяких трудностей. Кроме того, валы не доходят до дороги, т. е. бывшего мелкого русла, на 25 м, что исключает оборонное значение неглубокой реки. Аналогия, на которой базируется утверждение Е.И. Крупнова – Ундорское городище,[10, с.131, рис. 4]10
Крупнов Е.И. Городище «Трехстенный городок». – «Советская этнография», 1935, № 2.
[Закрыть] неубедительно, так как, согласно плану, часть вала уничтожена постройками села Ундоры. Описанный И.Попко казачий городок в устье одного из рукавов Терека и называвшийся «трехстенным» также не имеет сюда отношения, так как он был треугольной формы,[10, с.132]10
Крупнов Е.И. Городище «Трехстенный городок». – «Советская этнография», 1935, № 2.
[Закрыть] а наш имеет форму трапеции.
Исходя из сказанного следует признать, что крепость строилась до трансгрессии конца XIII в.,[6]6
Гумилев Л.Н. Хазарские погребения и место, где стоял Итиль. – «Сообщения Гос. Эрмитажа», т. XXII, 1962.
[Закрыть][9]9
Алексин А.А, Гумилев Л.Н. Каспий, климат и кочевники Евразии. – «Известия О-ва истории, археологии, этнографии при Казанском ун-те». Казань, 1963.
[Закрыть] местным населением, охотно питавшимся рыбой и изготовлявшим посуду на гончарном круге более совершенно, чем это делали волжские хазары VI–X вв..[8]8
Гумилев Л.Н. Хазарские погребения на бугре Степана Разина. – «Сообщения Гос. Эрмитажа», т. XXVI, 1964.
[Закрыть]
Следовательно, валы были сооружены до конца XIII в., но в татарский период, т. е. после 1241 г. По-видимому, это один из сторожевых постов Золотой Орды, созданный против иль-ханов Ирана в середине XIII в. Вследствие того, что военные действия были быстро перенесены в Закавказье, крепость осталась недостроенной и вскоре залита морем. Луга на низких местах также оказались неудобными для кочевания из-за подъема воды, и керамика XIII–XV вв. встречается только в песках на среднем течении Терека. К XVI в., при регрессии Каспийского моря, низовья Терека стали пригодными для поселения. В это время они заселились русскими казаками, и для контроля над долиной была учреждена крепость Терки, неоднократно переносившаяся с места на место. Одно из ее расположений, севернее деревни Новый Бирюзяк, датируемое на основании планировки не раньше конца XVII в., находится посреди равнины, недалеко от русла Терека. План крепости – восьмиконечная звезда с широкими площадками на выступах – раскатами для пушек.

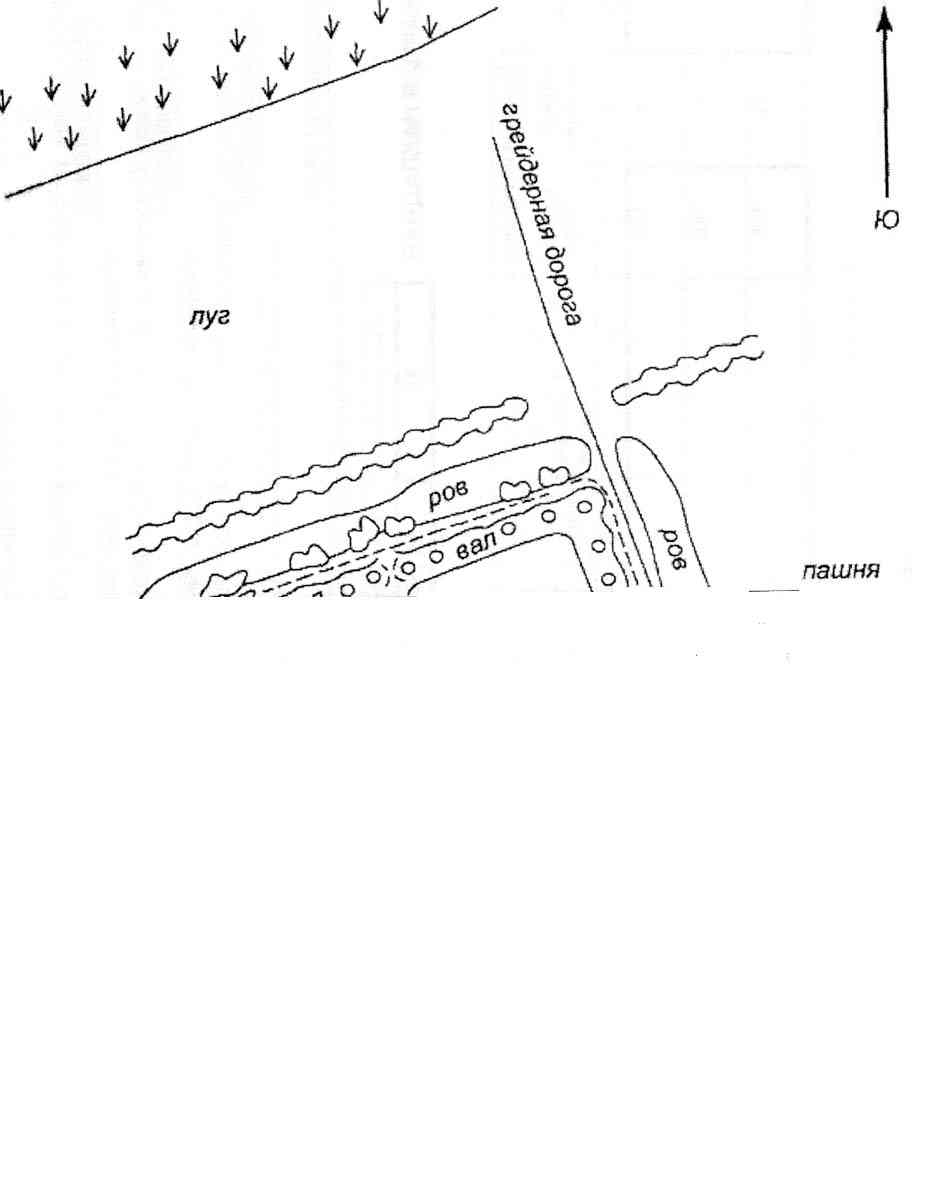
Рис. 4. План цитадели городища у хутора Харькив.
Второе городище этого типа, около станицы Шелковской, расположенное в густом лесу, у самого берега Терека, стало известно лишь потому, что грейдерная дорога перерезала его центральную часть. Керамика, найденная в выкидах по обочине дороги, мало выразительна. Можно сказать, что она аналогична татарской керамике на дюнах и в дельте Волги. Скорее всего, это ХVII-ХVIII вв.
В центре крепости находится цитадель. Стена спланирована, как новая линия с 15 выступами, изогнутыми под острыми углами. Ворота, обращенные к юго-востоку, прикрыты дополнительным валом, не соединяющимся со стеной цитадели. Высота валов достигает 4, а ширина рва 8 м. Глубина рва не установлена, так как во время посещения городище было затоплено наводнением Терека. По этой же причине не исследована внутренняя часть цитадели, диаметр которой равен 300 м.
С запада площадь городища прикрыта высоким хвойным валом. Ров между двумя насыпями частично наполнен водой. Это сооружение тянется от Терека до песчаных дюн, т. е. на 4 км, и перерезает всю речную долину. Южнее цитадели вдоль берега Терека идет менее высокий вал, смыкающийся с восточным валом, деформированным проложенной по нему дорогой. В центральной части городища от восточного вала идет дополнительный двойной вал к цитадели, а несколько южнее от восточного вала намечено ответвление на восток, заканчивающееся площадкой, может быть фундаментом сторожевой башни. За исключением юго-западной части, поросшей густым лесом, городище занято кукурузным полем и виноградником хутора Харькив, возникшего в середине XX в. Хуторские постройки уничтожили продолжение восточного вала между Тереком и дюнами, и поэтому план восточной окраины городища нечеток. К тому же если экстраполировать восточный вал до дюн, то конец этой линии упрется в станицу Шелковскую, где следы древних построек давно уничтожены при строительстве современных зданий. Поэтому можно сделать предварительное заключение: найденное экспедицией городище связано с поселениями по закраине песков и является форпостом, выдвинутым к берегу Терека в эпоху аридизации степной зоны, т. е. в XVII в. Обследование берега Терека выше и ниже этой крепости на протяжении 80 км позволило установить, что аналогичных сооружений здесь больше нет. В 1734 г. был сооружен Кизляр. К этому времени гребенские казаки заняли место хазар, а ногайцы и калмыки – место древнеболгарских племен. Соотношение же между кочевым и оседлым населением, также как между степным и приречным ландшафтами, осталось неизменным.
Проведенное исследование подтверждает тезис о наличии функциональной связи между ландшафтом и ареалом распространения народности. Только исходя из этого положения удалось найти археологическую культуру хазар на Волге и Тереке и, наоборот, по распространению древних народов с разными видами хозяйства и быта, т. е. по-разному использовавших природные условия, установить характер климатических и физико-географических условий изучаемой территории. Самым важным является чередование периодов увлажнения и усыхания и их продолжительность. Наиболее точные измерения последней возможны только при применении данных истории, но с учетом некоторых методических особенностей.
Из изложенного следует вывод о том, что закономерности, аналогичные тем, которые мы наблюдали в Прикаспийской низменности, могут быть обнаружены в любом населенном районе Земли, хотя, разумеется, для каждой области будут свои.



























